这两天台风米娜登陆广东汕尾并在珠三角一带逗留,制造了大范围的暴雨到大暴雨,粤东局部特大暴雨。9 月 20 日,米娜的倒槽云系还袭击了浙江和福建,带来暴雨,浙江南部局部甚至出现短时特大暴雨,1 小时雨量超过 100 毫米。

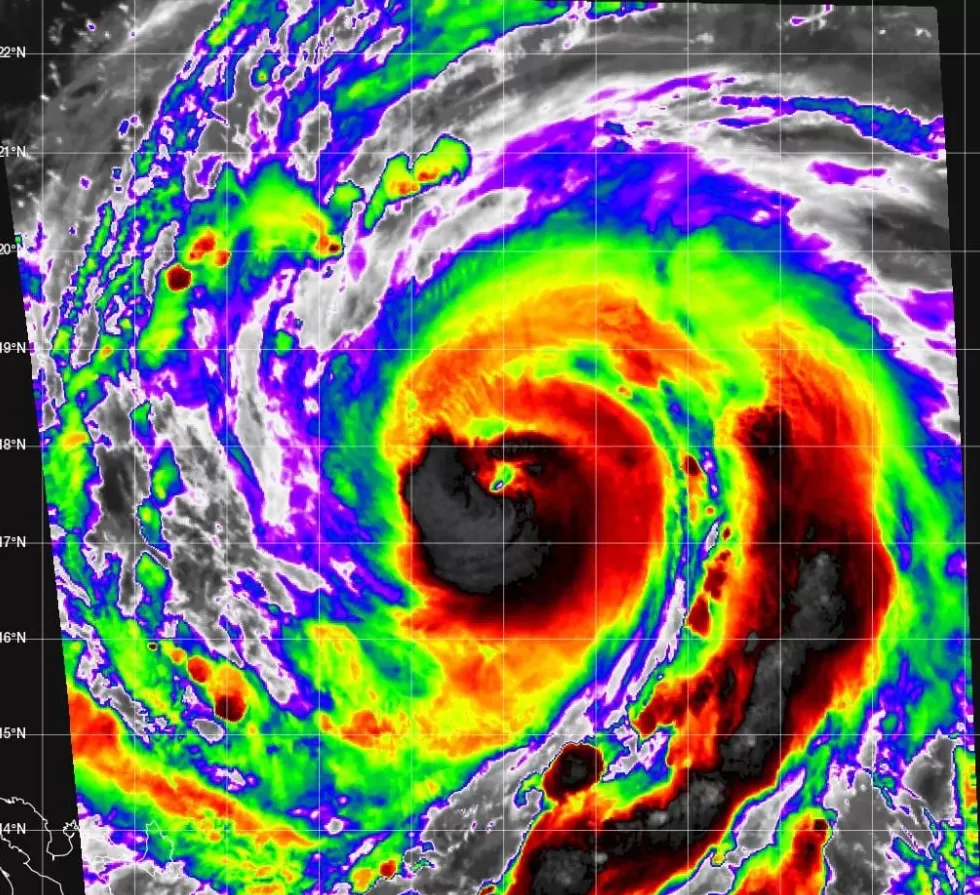
而在米娜暴雨还没停的情况下,西北太平洋上的 18 号台风桦加沙、19 号台风浣熊已纷纷快速加强,卷出天际,正在争夺 2025 年风王。截至 9 月 20 日晚,台风浣熊暂时领先。卫星云图可见,浣熊有清晰台风眼,即将抢先成为超强台风。

不过,最终的胜利者应该还是桦加沙。这是一个比浣熊和米娜加起来都要大的台风。正是因为它大,所以桦加沙整合比较困难,加强稍稍慢一点。但是,桦加沙的海洋热量供应、大气环流形势都远好于浣熊,它一定也能成为超强台风,9 月 21 日夜间到 9 月 23 日,它的中心附近最大风力有可能达到 17 级或 17 级以上,将超过浣熊,成为 2025 年西北太平洋甚至全球风王。

而路径方面,桦加沙将受稳定的副热带高压引导,稳定西北偏西行,最大可能是 9 月 24 日掠过广东珠三角沿海,随后在粤西或海南北部沿海登陆;也有可能在 9 月 24 日在珠三角登陆。在靠近珠三角时,桦加沙将维持超强台风强度,正因为此,它对珠三角的影响非常大,将是 2018 年台风山竹以来,对珠三角影响最大的台风;也可能超过山竹,成为珠三角历史最强台风之一。而到底是否超山竹,这三个因素最为关键:

第一,桦加沙如何通过巴士海峡。在巴士海峡的两边,我国台湾岛的中央山脉最高接近 4000 米,菲律宾吕宋岛高山也达到 3000 米左右,任何台风通过这里,都会大幅削弱,譬如说 2018 年山竹登陆吕宋岛后,强度从 17 级以上迅速下降到 15 级,再降到 14 级。

即使不登陆,离高山太近也会大幅削弱。如 2023 年超强台风杜苏芮仅仅是靠近菲律宾吕宋岛,也从超强台风减弱为强台风。如果桦加沙恰好走巴士海峡最中间通过,无损进入南海,那么超过山竹的可能性就很大。反之,如果桦加沙离台湾岛、吕宋岛过近,强度就会受到高山削弱,超过山竹的可能性就不大。

第二,冷空气何时南下。和山竹台风不一样的是,桦加沙进入南海后,一股实力强大的冷空气准备南下。如果桦加沙走的快,赶在冷空气南下前登陆,那它的影响就会超过山竹,反之则不会超过山竹。

第三,桦加沙的巅峰强度。在目前的环流形势下,桦加沙前期越强,路径会越偏北,越可能靠近珠三角,甚至可能在珠三角登陆,影响就会超过山竹。反之,如果桦加沙加强的慢,巅峰强度不及预期,则会偏南一些,离珠三角就会远一些,影响就会低于山竹。

但不管怎么说,桦加沙的对标台风是 2018 年的山竹,这已经能说明很多问题。山竹是有气象纪录以来珠三角影响最大的台风之一,香港、深圳最大阵风都达到 17 级或 17 级以上,就连很难起风的广州都有 10 级以上大风。而如果桦加沙无损过巴士海峡,巅峰强度达到山竹在太平洋的最高强度,在香港以南 50 公里内掠过,其狂风暴雨将超过山竹台风。

而即使没达到上述条件,珠三角的影响也会接近山竹台风,而粤西、海南北部的影响也会接近极端程度;福建、台湾沿海也会有大风,江浙沪沿海也会东风增大,台风靠近时会受倒槽云系影响出现散发暴雨。总而言之,不管路径怎么样,桦加沙都将是今年以来最危险的台风,请东南沿海的朋友尤其是广东、香港、澳门的朋友密切关注,随时准备做好最高级别的防御准备。
还木有评论哦,快来抢沙发吧~